Makléř: Samcová Jana
Telefon: 810 300 ...
E-mail: info@mm ...
Zobrazit celý kontaktTelefon: 810 300 300
E-mail: info@mmreality.cz
Nemovitost nabízí
M&M reality holding a.s.
Krakovská 1675/2, 110 00 Praha 1
Zobrazit kontakt na RK800 100 446
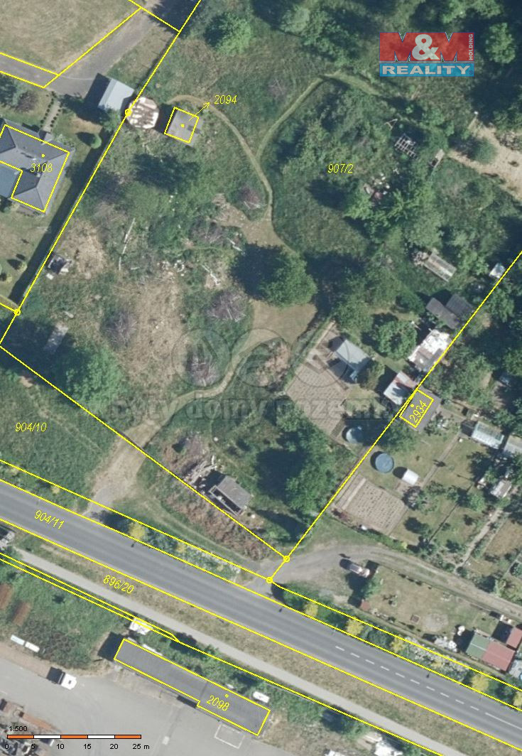
V Ostrově v okrese Karlovy Vary, nabízíme k prodeji rovinatý pozemek o rozloze 875 m2. Elektřina, veřejná kanalizace i vodovod na hranici pozemku. V okolí se nachází rodinné domky, klidná lokalita. Velmi dobrá dostupnost do centra Karlových Varů cca. 12 minut autem. Veškerá občanská vybavenost na dosah. V blízkosti se nachází obchodní dům Tesco. Bližší informace o ceně u makléřky. Neváhejte mě kontaktovat. S financováním Vám rádi poradíme
Prodej, pozemky/bydlení, 702 m2, Kfely E2, 36301 Ostrov, Karlovy Vary [ID 76822]
Nabízíme Vám stavební pozemky v obci Kfely u Ostrova, které leží v nádherné přírodě na úpatí Krušných hor. Zde vzniká nový projekt zahrnující celkem…
Prodej pozemku k bydlení v Ostrově,1352 m2, Kfely
Prodáme slunný pozemek o výměře 1352 m2 s mírnou svažitostí k jihu ve Kfelích u Ostrova. Nachází se v nově vznikající ulici doslova v sousedství…